Blog 19 October

By Helge Niemann

Back to Texel
The last sampling station has passed. In the night we took the last CTD during stormy conditions and went back along an easterly course to Texel. Now we are packing the last boxes, clean the labs and backup about 200 GB of data. The cruise has been successful but the work was hard and everyone is now looking forward to a weekend of quiet, peace and sleep before the workup of samples and data continues in our home laboratories. 

Blog 18 October

By Helge Niemann

The last science day at sea
After along transit from IJmuiden, we are back in the northern corner of the Dutch zone of the North Sea, where a deeper channel cuts West of the Doggerbank into the Oyster grounds. The atmosphere is a bit hectic: Tim de Groot is stopping more than 600 single incubations of water samples collected at the Doggerbank in a laboratory container. His question: How effective are the methane eating bacteria in the water layers above the methane flare? For this, he has spiked his samples with tiny amounts of labelled methane, which he can follow into the ‘waste products’ that the methane-eating microbes excrete when they consume methane. ‘The more active the microbes are, the more waste products they produce, which I can then detect at extremely low concentrations’, explains Tim his tracer technique.

 Tim de Groot processes samples to measure the activity of methane eating microbes. Photo: NIOZ

Others are already packing their gear up into sturdy boxes; tomorrow is port call, and the ship will be unloaded and new equipment for the next expedition will be loaded. But until then, there is still time and Emna Zeghal and Victor Hernando Morales have two stations along in the western most part of the Dutch zone on the list, where they would like to collect samples for micro and nanoplastic analyses. But the wind is picking up, raising the question if it might become too strong for sampling.

Blog 17 October

By Helge Niemann

Plastic in the ocean
The work continues. South of the Doggerbank, we try to get some more video footage of the seafloor at the Frisian Front close to Terschelling. Just as during our first attempt, the visibility is not too good. ‘In fact, it is worse’, says Karin van der Reijden, who tries to make out contours on the sea bottom. But the picture remains indistinct, the visibility is less than half a meter. We abandon this station. Scientific discovery also needs a pinch of luck and for this station, we haven’t got this – hopes for the next expedition.

Rotterdam during a rainy night as seen from sea, photo: NIOZ

We head further south, to an area where marine traffic is extremely busy, the Europort of Rotterdam. We arrive in the later afternoon and bring out our net. At Rotterdam, the North Sea is not only impacted by the Europort, Rotterdam is also in the delta of the rivers Maas, Rhine and Scheldt, and strong tidal currents bring in waters from Belgium, France and England.

A selection of microplastic particles caught with a fine net from the sea surface in front of the Europort. Under the microscope, cracks and fissures reveal  how brittle many microplastic pieces are. Photo: NIOZ

It is thus no surprise that we find more floating plastic pieces. ‘I’m a bit shocked’, says Emna Zeghal, ‘although I find it fascinating to investigate the plastic pieces under the microscope. Some can then even look pretty - isn’t that odd?, but I would prefer if the sea was free of plastic’.

Emna Zeghal is adding microplastic particles to a nutrient broth to cultivate fungi living on the surface of these particles. Photo: NIOZ

Blog 13 October

By Helge Niemann

The 48 hour station is over. The CTD water sampler was deployed every two hours during these 48 hours, and we only had to abandon one deployment because a brief storm during Sunday night with wind speeds of more than 100 km/h made work on deck too dangerous. During the 23 deployments, we collected water samples from every 5m depth from just above the seafloor to the surface, and subsampled this for 8 different parameters. This includes methane concentrations, the speed at which the methane-eating microbes consume methane, and the DNA of the methane eating microbes but also plastic concentrations.

In total, more than 1000 vials and bottles were filled and amended with a variety of reagents to preserve the samples, and about 2500 l of water was filtered. On top of this, we drunk about 100 coffees or colas to keep us awake during the long hours of sampling. Now, everyone involved is happy that this station is over. ‘I feel exhausted, but I’m looking forward to see the data once we finish all the analyses’, says a tired-looking Tim de Groot, for whom this sampling station is an important part of his PhD project.  

Just after the 48 hour station, the next station begins (fishing for floating plastic), photo: NIOZ

But if one station is over, the next is about to begin. Tim takes his last samples and Emna Zeghal and Victor Hernando Morales already prepare their net to fish for floating plastics at this most northern corner of the Dutch sector of the North Sea. And in the background, Karin van Reijden and Timo Gaida prepare with their teams for the upcoming video and multibeam transects that are planned for Tuesday.

Blog 12 October

By Helge Niemann

A video sledge shortly before its deployment in the early morning. Photo: NIOZ

Hunting for methane bubbles

We arrived at the northernmost corner of the Dutch part of the North Sea. In front of us, to the North lies the Doggerbank, an old end moraine left over from the last ice ages. Today, the waters above the bank are relatively shallow, in some cases only 10m, while the so-called Oyster Grounds to the south are 40m deep and to the North, the seafloor is more than 80m deep. But not so long ago, the Doggerbank was an Island with Stone Age villages, the legendary Doggerland.

Scientists discovered some years ago that methane gas is leaking out of the southern flank of the Doggerbank. Methane is a valuable energy source, that everyone knows from gas stoves. But in the atmosphere, methane is a very potent greenhouse gas and large amounts are liberated from sediments at continental margins. And in the future, this will become even more severe because the ocean is heating up. ‘Luckily, some specialised microbes in the sea water can ‘eat’ methane’ says Tim de Groot, a PhD Student from NIOZ. At present, methane eating microbes consume most of the methane that rises from sediments into the overlying ocean water and thus build a barrier before the methane can reach the atmosphere. But if they will be able to cope with higher methane levels in the future is unclear. ‘We mostly don’t know which factors influence the activity of these microbes’ explains Tim further. The Doggerbank seeps are thus an excellent natural laboratory to study methane eating microbes in the ocean and to estimate how effective they are.

A sonar image of the seafloor and the overlying water column along a track from East to West. Methane bubbles are visible as acoustic flares (coloured in green) in the water column.

The hunt starts at night, we arrive at the bank at a location that we already investigated last year in summer. For our study, it is thus a relieve as we find the strings of methane bubbles rising from the seafloor with our sonar systems again. Just before the cruise, Giorgio Cover, a research assistant at IMAU, University of Utrecht, has installed a laser spectrometer that continuously measures methane in the atmosphere. And indeed, when we approach the seep, we find elevated methane levels in the atmosphere too. The seep is obviously active. The night is reserved to map the area by sonar and with the laser spectrometer, and in the morning, we set out a video sledge to find the origin of the gas flares at the sea bottom. But the visibility is bad. ‘This is like driving a car with full head lights during a blizzard… there is just too much marine snow in the water column', says Karin van Reijden who pilots the video sledge.

Elevated methane levels in the atmosphere recorded with a laser spectrometer when crossing a seep.

To investigate the methane eating microbes over a longer time period, we start a 48-hour mayhem: we will take water samplesevery 2 hours to measure methane levels. We will filter water for microscopy and to extract DNA, allowing us to identify the methane eating microbes, and we will take samples to measure how active they are. We will collect chemical and physical data obtained with sensors at the CTD water sampler and we will continuously monitor the atmosphere and fill small bags with air to monitor the composition of gases. The weather forecast is good, we hope that the sea will stay calm and that all technical devices will work fine.

Tim de Groot collects water samples to investigate methane eating microbes. Photo: NIOZ

Blog 10 October

By Helge Niemann

Earlier in the morning seas are nicer as seen towards the aft deck of the ship. Photo: NIOZ

The morning starts nice, the sea seems to have calmed down a bit, even the sun comes out to welcome the new day. But this doesn’t last long. The video survey still goes well but then the wind picks up and it becomes too dangerous to operate heavy gear. We can only use lighter – that is - the CTD water sampler and an In Situ Pump.

A CTD water sampler is pulled out of the frothing sea. Photo: NIOZ

‘This pump gets programmed, fitted with a filter and can then rapidly filter several 100 litres of water’ explains Tim de Groot PhD student at NIOZ. ‘I use these pumps to concentrate microorganisms from the water column for my experiments related to the methane cycle’.   

In situ pump filters large volumes of water at different depths. Photo: NIOZ

Blog 9 October

By Helge Niemann

A tanker behind a wave crest fighting against the heavy sea (don’t worry, it’s not sinking) , photo: NIOZ

Heavy seas with white caps. The night was rough,  a rolling boat and waves smashing against the bow making it difficult to sleep. Accordingly, only a few faces appear at the breakfast table, some remain seasick in their cabin. Everything takes longer with a rolling ship under you and a funny feeling in your belly. But ship-time is precious and everyone who has work scheduled for the day gets ready.

Fishing for floating plastic, photo: NIOZ

The first stations are for investigating the seafloor with a video sledge, but the visibility is too poor: The waves have made the water murky. The Video station is discarded and sediment samples are taken with a box corer and water with a sampler that has 24 times 10 l mounted on a carousel, a so-called CTD. ‘This device allows to sample waters at different depth, and continuously measures several parameters such as salinity and temperature’ explains Victor Hernando Morales, a young postdoc from NIOZ and the University of Vigo.

Victor Hernando Morales preparing a CTD water sampler and sample flasks and Emna Zeghal investigating micro plastic pieces with a microscope, photo: NIOZ

Sampling of floating microplastic with a very fine-meshed net is for later on the schedule. This net, basically sieves through the ocean surface and the captured particles can be investigated, for example with a microscope. ‘With each haul, we are skimming about 500m2 of ocean surface and we often find 10-30 plastic pieces, mostly micro plastics’ says Emna Zeghal Zeghal a PhD student from NIOZ who investigates marine fungi on plastics during this cruise. ‘That doesn’t sound so much, does it? But when extrapolated to a regional scale or the entire North Sea, then this becomes a shockingly huge number’.

A 1 mm small micro plastic particle (possibly polystyrene) with attached filamentous algae, photo: NIOZ

Blog 8 October

By Helge Niemann

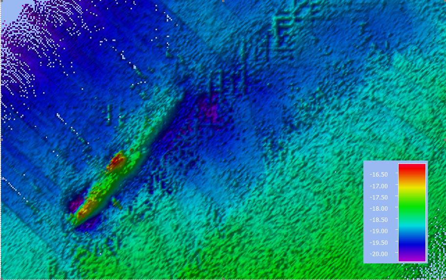
Echosounder image of sunken world war 1 submarine of the coast of Vlieland. Above figure created using QPS Qimera software

After a long night of scanning the seafloor with a special echo-sounder device called Multi Beam, Timo Gaida (PhD Student, TU Delft) and Raoul Michels (BSc student NHL Stenden) have puffy eyes from a lack of sleep. But the effort was worth it. ‘We have been able to calibrate the Multi Beam, which allows us to scan the seafloor with an accuracy of a few cm”, says Raoul. For their calibration, the two young scientists used the known position and depth a wreck of an old submarine from the first world war, that has been lying west of Vlieland ever since.

Seafloor sediments recovered with a box corer, photo: NIOZ

The day programme focused on finding shell fish. The team around Karin van de Reijden (PhD student, Uni Groningen) uses a box corer, that basically stencils out a 30 cm slice of seafloor, allowing the scientist to estimate composition and abundance of benthic fauna. At wind-force 6, the safe deployment and recovery of this heavy gear requires a team of experienced sailors, but the catch of the day lets Karin’s eyes sparkle: 'The population of this shell fish has declined a few decades ago, but know we found a dense bed with several generations of these bivalves’.

Karin van de Reijden subsamples sea floor sediments recovered with a box corer, photo: NIOZ
The bivalve Spisula sp., recovered with the box corer, photo: NIOZ

Blog 7 October 

By Helge Niemann

Loading the boat with scientific equipment for sampling, photo: NIOZ

The morning was hectic with loading all gear and new supplies on the ship. After some delays because of technical problems with a multi-beam system, which could finally be solved, we are leaving port shortly after 3 pm and immediately have to gather for a safety drill on the muster station - safety comes always first. Everyone is looking ahead to our 2 weeks North Sea expedition; we expect to test some equipment today and conduct the first set of ‘real measurements’ tonight/tomorrow. 

Safety drill at the muster station, photo NIOZ